kids encyclopedia robot

Joplin tornado facts for kids

Kids Encyclopedia Facts
Quick facts for kids
Joplin tornado
Clockwise from top: View of the rain-wrapped tornado in Joplin; track and timeline of the tornado; aerial view of Joplin 10 days after the tornado; EF5 damage to the St. John's Regional Medical Center; radar image of the tornado in the city of Joplin, with a clear debris ball present
Meteorological history
Duration 38 minutes
Formed May 22, 2011, 5:34 p.m. CDT (UTC−05:00)
Dissipated May 22, 2011, 6:12 p.m. CDT (UTC−05:00)
EF5 tornado
on the Enhanced Fujita scale
Path length 21.62 miles (34.79 km)
Highest winds
  • Official intensity: >200 mph (320 km/h)
  • Estimated intensity:
    225–250 mph (362–402 km/h)
    (via University of Colorado Boulder & NWS meteorologist Bill Davis)
Overall effects
Fatalities 158 direct (+8–9 indirect)
Injuries ≥1,150
Damage $2.8 billion (2011 USD)
(Costliest tornado in U.S. history)
$3.64 billion (2022 USD)
Areas affected Joplin and surrounding areas
Power outages 20,000
Houses destroyed 4,380

Part of the tornado outbreak sequence of May 21–26, 2011 and tornadoes of 2011

The Joplin tornado was an incredibly powerful and destructive EF5 tornado. It hit the city of Joplin, Missouri, United States, on the evening of Sunday, May 22, 2011. This tornado caused immense damage to the city and nearby areas. It was part of a larger series of tornadoes that happened in late May 2011.

The super-strong tornado started just west of Joplin around 5:34 p.m. CDT. It quickly grew to be almost 1 mile (1.6 km) wide. It moved through the southern part of Joplin, then into rural Jasper and Newton counties. The tornado was on the ground for 38 minutes, finally ending at 6:12 p.m. CDT. Its path stretched for a total of 21.62 miles (34.79 km).

The tornado destroyed a huge part of Joplin. It damaged nearly 8,000 buildings, and over 4,000 homes were completely ruined. Important places like one of Joplin's hospitals and much of its basic services were also hit hard. The total cost of the damage was about $2.9 billion. This made the Joplin tornado the most expensive single tornado in U.S. history.

Sadly, 158 people lost their lives, and about 1,150 others were hurt. This made it the deadliest tornado of 2011. It was also the deadliest tornado in Missouri's history. After the storm, President Barack Obama visited Joplin on May 29 to offer support. Many efforts were made to help the city rebuild. By 2018, most businesses had reopened, and new ones were built. The tornado even inspired FEMA to create the Waffle House Index, a way to measure how well a community prepares for disasters.

How the Tornado Formed

On the evening of May 21, 2011, weather experts saw a low-pressure area over South Dakota. This, along with other weather conditions, was perfect for creating powerful thunderstorms called supercells. At first, they thought there might be large hail, but only a small chance of tornadoes.

Storm over Joplin, Missouri cropped
This satellite image shows the supercell thunderstorm that created the Joplin tornado.

By the morning of May 22, forecasters at the National Weather Service (NWS) realized a much bigger storm was coming. They warned that a major severe weather event was likely that afternoon. This included threats of tornadoes, large hail, and strong winds.

5-22-11 at 506 pm approx 40 minutes prior to the tornado that devastated Joplin,mo
These interesting Mammatus clouds appeared over Joplin about 40 minutes before the tornado hit.

At 1:30 p.m. CDT, about four hours before the tornado, a tornado watch was issued for southwestern Missouri. This meant that conditions were right for tornadoes to form. Thunderstorms started developing in nearby Kansas and quickly grew stronger. Weather experts became very worried about tornadoes forming. A tornado warning was issued for the storm heading towards Joplin at 5:17 p.m. CDT. This was 17 minutes before the tornado touched down and 19 minutes before it reached the city.

The Tornado's Path and Damage

Beginning of the Storm

The tornado first touched down in Newton County, Missouri, at 5:34 p.m. CDT. This was just east of the Missouri–Kansas state line. People who saw it, including storm chasers, reported seeing several smaller funnels spinning around the main tornado. At first, it was an EF0 tornado, knocking down some large trees.

Joplin's Civil defense sirens sounded 20 minutes before the tornado hit the city. This was because of the tornado warning issued earlier. However, many people in Joplin did not take the warnings seriously.

The tornado moved east-northeast and grew stronger, reaching EF1 intensity. It snapped trees and power poles in rural areas. As it got wider, it moved into the busy southwest part of Joplin. Here, it caused serious damage to homes, reaching EF3 strength. Many houses were destroyed, and cars were tossed around. The tornado became even stronger, reaching EF4 intensity, before crossing S. Schifferdecker Avenue.

Extreme Damage in Joplin

2011 Joplin, Missouri tornado damage
This photo shows a destroyed area in the tornado's path the day after the storm.

The tornado became huge and wedge-shaped. It crossed S. Schifferdecker Avenue at 5:38 p.m. CDT. Just four minutes after touching down, it caused its first EF4 damage, flattening several strong commercial buildings. The tornado quickly became even more powerful, reaching EF5 intensity. This extreme damage continued through most of southern Joplin.

Many homes, businesses, and medical buildings were completely flattened. Concrete walls collapsed, and steel beams were twisted like paper. Cars were thrown far away and wrapped around trees. Even heavy 300-pound concrete parking stops were ripped from the ground and thrown up to 60 yards (55 m) away. Experts later said that winds over 200 mph (320 km/h) would be needed to cause such damage.

The Hospital Hit Hard

St. Johns Hospital After 5-22 Tornado
St. John's Regional Medical Center was so badly damaged that it had to be torn down.

The tornado caused widespread and terrible damage at the St. John's Regional Medical Center. The hospital lost almost all its windows, many inside walls, ceilings, and part of its roof. Its emergency helicopter was also blown away and destroyed. The nine-story building was so damaged that it was unsafe and later had to be torn down. Sadly, six people died at the hospital, including five patients who relied on medical equipment that lost power.

Cars in the hospital parking lot were thrown into the air and twisted beyond recognition. Small pieces of hospital items, like X-rays, were found many miles away. This shows how incredibly strong the winds were.

Peak Strength and Wide Destruction

As the tornado moved eastward, it stayed at EF5 strength. It crossed Main Street and destroyed many businesses and buildings. It just missed the downtown area. Entire neighborhoods were leveled, with some homes completely swept away. Trees were stripped bare of their bark.

Many important buildings were destroyed, including a large church, a nursing home, and Joplin High School. Thankfully, no one was at the high school because graduation ceremonies had finished earlier. At the Greenbriar Nursing Home, 21 people lost their lives.

The tornado continued its path of destruction, hitting apartment buildings, a grocery store, and a bank. Only the concrete safety deposit box vault remained at the bank. A wooden 2x4 was even found stuck through a concrete curb.

Safe deposit vault after EF5 tornado
This safety deposit box vault remained standing after the tornado destroyed the bank around it.

The tornado, now heavily hidden by rain, continued at EF5 intensity as it crossed Range Line Road. This was the main shopping area in eastern Joplin. Here, the tornado reached its widest point, nearly 1 mile (1.6 km) across.

At a Pizza Hut, the manager, Christopher Lucas, bravely helped four employees and 15 customers hide in a walk-in freezer. He held the door shut with a bungee cord until the tornado pulled him out, and he tragically died. The tornado completely destroyed a Walmart supercenter, a Home Depot, and many other businesses. Cars from the Home Depot parking lot were found hundreds of yards away. Even asphalt was ripped from parking lots. Heavy tractor-trailers were thrown up to 200 yards (180 m) away. Experts calculated that winds had to be over 200 miles per hour (320 km/h) to cause this level of damage.

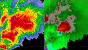
Radar image of the 2011 Joplin tornado May 22, 2011 2248Z
This radar image shows the supercell that created the tornado, with a clear "hook echo" shape.

Extreme damage continued in southeast Joplin, especially in the industrial park. Many houses and industrial buildings were flattened. Large metal warehouses were swept clean from their foundations. Heavy industrial vehicles were thrown up to 400 yards (370 m) away. The last area of EF5 damage was in this industrial park. A Fastrip gas station was completely destroyed, and a famous video was recorded by a man sheltering in its beer cooler.

Weakening and End of the Tornado

The tornado then moved towards I-44 and began to weaken. Still, it blew vehicles off the highway. The damage here was rated EF2 to EF3. The weakening tornado continued into rural areas, causing minor to moderate damage to trees and homes.

The tornado finally lifted east of Diamond at 6:12 p.m. CDT. It had traveled for 21.62 miles (34.79 km) and was up to 1 mile (1.6 km) wide at its largest. In total, 158 people died, and over 1,150 were injured.

After the Storm: Recovery Efforts

Joplin-tornado-map
This map shows the tornado's path and the areas with the most intense damage in Joplin.

After the tornado, the NWS confirmed it was a high-end EF4 tornado. Later surveys found even more intense damage, leading to an upgrade to an EF5 rating. This meant estimated winds were over 200 mph (320 km/h), possibly reaching 225 to 250 mph (360 to 400 km/h).

The damage was huge: about 25% of Joplin was destroyed, and 75% of the city had some level of damage. A week later, the mayor estimated that 25% of the city's businesses were damaged or destroyed.

In total, 7,964 buildings were damaged in Joplin. This included 7,411 homes and 553 other buildings. At least 3,734 of these buildings were so badly damaged they were considered destroyed.

Rebuilding the City

The tornado also severely damaged important city services. About 4,000 electricity poles were damaged, and over 110 miles (180 km) of power lines were brought down. An electrical substation was completely destroyed. Immediately after the storm, about 20,000 people had no power. It took 10-12 days for power to be restored to homes that were still safe.

The water system also had about 4,000 leaks. Water pressure dropped, and residents had to boil their water. It took over five days to fix the water issues. Gas lines were also damaged, and it took two weeks to stop all the leaks. Cell phone service was also heavily affected, with 21 cell towers down. Temporary mobile towers were set up within 24 hours to help people communicate.

The city was warned that it might lose 25% of its population after the tornado. However, Joplin responded quickly, building an average of five new houses each week between 2011 and 2022. Most businesses reopened, and over 300 new businesses opened by early 2016.

In April 2012, Joplin voters approved a $62 million plan to build new schools and repair damaged ones. Joplin High School reopened on September 2, 2014. St. John's Regional Medical Center, now called Mercy Hospital Joplin, was rebuilt and reopened in 2015.

Community Support and Lessons Learned

Joplin tornado damage (5884769735)
Even weeks later, the extreme damage from the tornado was still visible, with trees stripped of their bark.

After the tornado, FEMA had a large presence in Joplin, with many employees helping the city recover. They built 15 temporary housing sites for families who lost their homes.

Within two years, Joplin's workers and community groups created a guide called "Joplin Pays it Forward." This guide shares advice on how other places can recover from disasters.

The tornado also highlighted the importance of strong building practices. Engineers discussed how some buildings, like the Home Depot, collapsed. This led to discussions about how to build structures that can better withstand strong winds.

The tornado caused significant emotional challenges for many people. Researchers later studied how survivors coped with what they called "tornado brain," a term used to describe the overwhelming feelings after the disaster. Many people needed support to deal with the stress and changes in their lives.

Understanding Tornado Strength (EF5 Rating)

There was some discussion about the tornado's EF5 rating. In 2013, a study suggested that most of the damage was caused by winds of EF2 or EF3 strength. They found no damage that clearly showed winds over 200 mph (320 km/h), which is the minimum for an EF5 tornado.

However, the NWS office in Springfield stood by the EF5 rating. They explained that only a small area had EF5 structural damage, which could be easily missed. They also considered other signs of extreme power, like concrete parking stops and manhole covers being ripped from the ground and thrown far away. The complete destruction and the way large vehicles were tossed hundreds of yards also helped confirm the EF5 rating.

See also

Kids robot.svg In Spanish: Tornado de Joplin de 2011 para niños

  • Weather of 2011
  • List of North American tornadoes and tornado outbreaks
  • List of F5, EF5, and IF5 tornadoes
  • List of deadliest tornadoes in the Americas
  • Tornado intensity
  • Tornado records
Preceded by
Tuscaloosa–Birmingham, AL (2011)
Costliest U.S. tornadoes on Record
May 22, 2011
Succeeded by
-
Black History Month on Kiddle
Famous African-American Artists:
Emma Amos
Edward Mitchell Bannister
Larry D. Alexander
Ernie Barnes
kids search engine
Joplin tornado Facts for Kids. Kiddle Encyclopedia.