kids encyclopedia robot

2011 Tuscaloosa–Birmingham tornado facts for kids

Kids Encyclopedia Facts
Quick facts for kids
2011 Tuscaloosa–Birmingham tornado
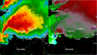
Clockwise from top: A CCTV still of the tornado in downtown Tuscaloosa; EF4 damage to a home in Tuscaloosa; trees debarked by the violent tornado; radar reflectivity and velocity images of the supercell that produced the tornado at 5:12 p.m. CDT (22:12 UTC) as it struck Tuscaloosa, with a debris ball clearly visible.
Meteorological history
Duration 1 hour, 31 minutes
Formed April 27, 2011, 4:43 p.m. CDT (UTC−05:00)
Dissipated April 27, 2011, 6:14 p.m. CDT (UTC–05:00)
EF4 tornado
on the Enhanced Fujita scale
Path length 80.68 miles (129.84 km)
Highest winds 190 mph (310 km/h)
Overall effects
Fatalities 64 (+8 indirect)
Injuries 1,500+
Damage $2.4 billion (2011 USD)
Areas affected Tuscaloosa to Birmingham, Alabama, United States

Part of the 2011 Super Outbreak and Tornadoes of 2011

The 2011 Tuscaloosa–Birmingham tornado was a very powerful and dangerous EF4 tornado. It caused a lot of damage in parts of Tuscaloosa and Birmingham, Alabama, on April 27, 2011. This tornado was one of the most expensive tornadoes ever recorded in the United States. It was also one of 367 tornadoes that happened during the 2011 Super Outbreak. This was the largest tornado outbreak in U.S. history.

The tornado first touched down around 4:43 p.m. CDT in Greene County, Alabama. It quickly grew stronger and wider, reaching about 1.5 miles (2.4 km) across. Its winds were estimated to be as fast as 190 mph (306 km/h). The tornado was on the ground for about an hour and a half, leaving a path of destruction. Many TV stations showed live videos of the tornado as it moved. This made it one of the most documented tornadoes of the Super Outbreak.

In total, the tornado sadly caused the deaths of 64 people and injured over 1,500. This was the second deadliest tornado in Alabama's history. It also caused about $2.4 billion in damages. This made it the costliest tornado in Alabama at the time. After the storm, then-President Barack Obama visited Tuscaloosa on April 29. He toured the city to see the damage and support recovery efforts.

The Powerful Tuscaloosa–Birmingham Tornado

How the Tornado Formed

The conditions in the atmosphere on April 27, 2011, were perfect for creating very strong tornadoes. A large weather system moved across the southern U.S. It brought a lot of warm, moist air from the Gulf of Mexico. This created a lot of energy in the atmosphere.

Strong winds at different heights also twisted the air. This twisting motion helps thunderstorms start to spin and form tornadoes. These conditions led to many powerful supercell thunderstorms. These are rotating thunderstorms that can produce long-lasting tornadoes.

Watching for Danger: Weather Forecasts

Weather experts at the Storm Prediction Center knew that a very dangerous day was coming. On the morning of April 27, they issued a "high risk" warning for severe weather. This meant there was a very high chance of strong tornadoes.

Around 1:45 p.m. CDT, a special "particularly dangerous situation" (PDS) tornado watch was issued. This watch warned people in northern Alabama and parts of Tennessee. It told them that destructive tornadoes, very large hail, and strong winds were possible.

The warning message said:

THE NWS STORM PREDICTION CENTER HAS ISSUED A TORNADO WATCH FOR PORTIONS OF: MUCH OF ALABAMA, NORTHWEST GEORGIA, SOUTHEAST MISSISSIPPI, SOUTHERN MIDDLE TENNESSEE, EFFECTIVE THIS WEDNESDAY AFTERNOON AND EVENING FROM 145 PM UNTIL 1000 PM CDT.
   
...THIS IS A PARTICULARLY DANGEROUS SITUATION...
   
DESTRUCTIVE TORNADOES...LARGE HAIL TO 4 INCHES IN DIAMETER. THUNDERSTORM WIND GUSTS TO 80 MPH...AND DANGEROUS LIGHTNING ARE POSSIBLE IN THESE AREAS.

Later, at 3:09 p.m. CDT, the National Weather Service issued the first tornado warning. This warning was for the specific supercell thunderstorm that would create the Tuscaloosa–Birmingham tornado.

The National Weather Service Storm Prediction Center outlined a high risk area for severe weather over central Alabama on this map.
The National Weather Service Storm Prediction Center's Day 1 Convective Outlook for April 27, showing the Categorical Graphic
This version of the map shows a 45% probability of a tornado within 25 miles of a given point in the highest risk area, and a 10% chance of a significant tornado.
The probability of a tornado within 25 miles of a point (cross-hatched area: 10% or greater probability of EF2+ tornadoes)

The Tornado's Destructive Path

Starting in Greene County and Tuscaloosa

The supercell thunderstorm first created a large wedge tornado in rural Greene County, Alabama. It was an EF2 tornado at this point. It knocked down many trees and caused minor damage to buildings. A meteorologist filmed the tornado live as it moved. This was the first video proof that the tornado had touched the ground.

The tornado quickly grew stronger. It moved towards the southern and eastern parts of Tuscaloosa, Alabama around 5:10 p.m. CDT. TV cameras from several stations captured videos of the tornado as it hit Tuscaloosa. The tornado looked like a huge, spinning funnel cloud. Sometimes, smaller mini-tornadoes could be seen spinning inside the main one.

Damage in Tuscaloosa's Neighborhoods

The tornado entered Tuscaloosa as a strong EF4. It destroyed a cell phone tower and several warehouses. The Tuscaloosa County Emergency Management Office was directly hit and completely destroyed. Luckily, no staff members were injured.

The tornado then tore through neighborhoods like Rosedale and Forest Lake. It flattened many homes, especially those not strongly built. Several apartment complexes were completely destroyed. Some two-story buildings were reduced to rubble. The tornado also flattened many businesses and restaurants near the University Mall. Cars were tossed around or destroyed.

Tuscaloosa Apartment Complex
The destroyed Chastain Manor apartment complex near Alberta City, Tuscaloosa. The complex was later rebuilt.

In the Alberta City area, many homes were leveled. Two more apartment buildings and a shopping center were completely flattened. The Chastain Manor Apartments were also destroyed. A nearby manhole cover was even pulled out of the ground and thrown into a ravine.

Moving Through Holt and Towards Birmingham

The tornado grew even wider, from 0.5 miles (0.8 km) to 1 mile (1.6 km) across. It ripped through the suburb of Holt, Alabama, still at EF4 strength. It leveled homes and snapped every tree in the area. When it crossed Hurricane Creek, it tore apart a large metal railroad bridge. A 34-ton (30,844 kg) metal support structure was thrown 100 feet (30 m) up a hill.

A marina on Holt Lake was badly damaged. Many boats and a restaurant were destroyed. Some boats were tossed over 100 meters (328 ft) away. The tornado then weakened to an EF3 as it left Tuscaloosa. It continued through a dense forest towards Birmingham, knocking down thousands of trees. Debris from Tuscaloosa was reported to be falling from the sky in Birmingham, over 20 miles (32 km) away. In total, 44 people died in the Tuscaloosa area.

Impact on Birmingham and Its Suburbs

PrattCity
Major damage to homes and apartment buildings in the Birmingham neighborhood of Pratt City.

After causing huge damage to trees, the tornado entered Jefferson County, Alabama. It quickly became even stronger and wider. Many TV stations showed live footage as the tornado moved across the western and northern suburbs of Birmingham. It was a high-end EF4 tornado around 6:00 p.m. CDT.

Several suburbs, including Concord, Pleasant Grove, and McDonald Chapel, were devastated. Homes were swept away, and trees were stripped of their bark. In one area, a 35.8-ton (32,470 kg) coal car was thrown 391 feet (119 m) through the air.

The tornado then weakened to an EF2. It still destroyed many homes and warehouses in McDonald Chapel. It also damaged homes, apartment buildings, and a large church in Birmingham's Pratt City neighborhood. Cars were moved several feet. The tornado then hit Fultondale, damaging homes and businesses. It caused more damage along Interstate 65 and US 31 before finally disappearing two miles north of Tarrant. A total of 20 people died in Birmingham and its suburbs.

Understanding the Tornado's Strength

Tuscaloosa 2011 Tornado Cedar Crest Avenue
Cleanup in Tuscaloosa's Cedar Crest neighborhood in May (U.S. Army Corps of Engineers photo)

The National Weather Service measured the tornado's path to be 80.68 miles (129.84 km) long. Its widest point was 1.5 miles (2.4 km) across. The tornado was given a final rating of high-end EF4. This means its winds were estimated at 190 mph (306 km/h).

There was some discussion about whether the tornado should have been rated EF5. An EF5 tornado has even stronger winds, over 200 mph (322 km/h). However, experts found that the homes that were swept away were not built with the strongest foundations. This meant that the damage, while terrible, didn't quite meet the strict criteria for an EF5 rating based on wind speed alone.

In January 2025, tornado experts Anthony W. Lyza, Harold E. Brooks, and Makenzie J. Kroca published a paper. They suggested that the Tuscaloosa tornado was an "EF5 candidate." They also thought the starting wind speed for an EF5 rating should be 190 mph (306 km/h) instead of 201 mph (323 km/h).

Life After the Storm

Tuscaloosa tornado damage 27 April 2011
A flattened residence in Concord, Alabama after the EF4 tornado.

After the tornado lifted, it left behind a path of destruction through Greene, Tuscaloosa, and Jefferson counties. It tragically killed 64 people, including six students from the University of Alabama. The tornado caused about $2.4 billion in property damage. At the time, this made it the costliest single tornado in U.S. history.

However, less than a month later, another tornado in Joplin, Missouri caused even more damage. That tornado cost $2.8 billion. The effects of the Tuscaloosa tornado also made it harder for some people to find affordable housing. This led to what some called an "uneven recovery" for the city.

See also

  • Weather of 2011
  • List of North American tornadoes and tornado outbreaks
  • List of F4 and EF4 tornadoes
    • List of F4 and EF4 tornadoes (2010–2019)
  • Disagreements on the intensity of tornadoes
  • Tornado records
  • Tornado outbreak of December 16, 2000 – An outbreak that produced an F4 tornado that also hit Tuscaloosa.
  • 2011 Hackleburg–Phil Campbell tornado – A similarly deadly tornado that was part of the same outbreak.
Black History Month on Kiddle
Famous African-American Civil Rights Activists
Roy Wilkins
John Lewis
Linda Carol Brown
kids search engine
2011 Tuscaloosa–Birmingham tornado Facts for Kids. Kiddle Encyclopedia.